We're now part of BTG Eddisons - Visit our new website BTGEddisonsPropertyAuctions.com
Lot
028
Auction: October 2024 Online Auction 16/10/2024 - Bidding opens Tuesday 15th October 10:00 AM

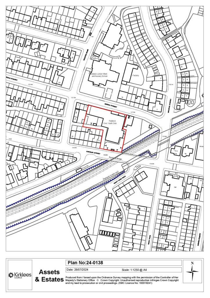
Former Paddock Youth Centre, Beech Street, Huddersfield, West Yorkshire, HD1 4JN

Property Details
Location
Auction Details
Description
A possible redevelopment opportunity comprising a substantial former Sunday school and sports hall premises, offering approximately 1,313 sq m (14,128 sq ft) of accommodation and situated on a plot of approximately 0.49 acres (0.2 hectares). The original and main building dates back to 1873, is of traditional stone construction and arranged over two storeys, whilst the sports hall was an extension constructed in the 1960s and is of a steel frame construction with a single storey. The property is in a poor condition and may offer an attractive opportunity for redevelopment or renovation, subject to any necessary consents.
Location
The property is located on Beech Street, where it is accessed, with its southern boundary facing Church Street. The local area is primarily residential, with a school, and a local sports club also located nearby. The nearby A62 provides good regional transport links and leads to Huddersfield town centre, located approximately 1 mile to the east.
Tenure
The property is sold freehold.
Planning
Any planning enquiries should be directed to Kirklees Council planning department: https://www.kirklees.gov.uk/beta/planning-and-development.aspx
We are advised by the vendor that the plot is neither allocated or listed.
Costs
Details of the Buyer's Premium and any additional fees payable are contained within the legal documents.
General
1. Buyers must note that the information on the properties construction and measurements were provided by the vendor and must not be solely relied upon.

2. All the information provided on our website is for indicative purposes only and interested parties should refer to the contents of the legal pack and rely upon their own due diligence as a prudent bidder.

3. PLEASE NOTE BIDDING COMMENCES ON TUESDAY 15TH OCTOBER AND CLOSES ON WEDNESDAY 16TH OCTOBER.

4. Energy Performance Certificate = C.

5. The pre-authorisation of the bidding deposit for this lot is £15,000.
Addendum
The land is subject to defects in title. Prospective buyers must refer to the Addendum Notice in the Legal Pack for details

Our Nearest Office

Leeds 600x300

Leeds

Search Available
Online Auctions
Search online auction icon
Guide to
Buying at Auction
Buying guide icon
Guide to Selling
Your Property
Selling guide icon
Sign Up For
Auction Alerts
Alert icon